Edición N° 391 - Noviembre 2015
En Lambaré usurpan calle y condenan a vecinos a estrecho pasillo
-
-
Roberto Cárdenas
-
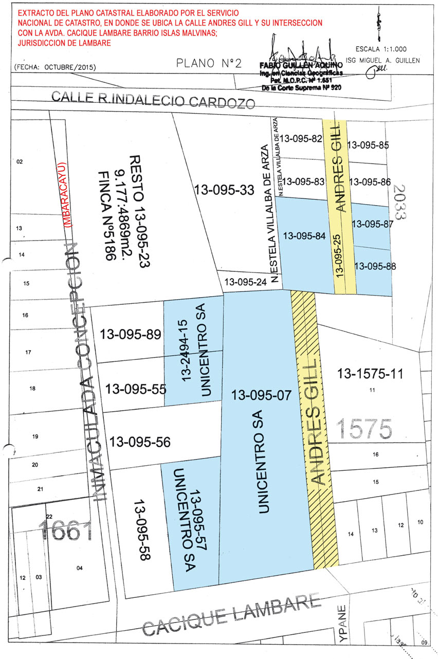
Plano del sector editado por el Touring y Automóvil Club Paraguayo
-
-
Imagen captada sobre la avenida Cacique Lambaré.
-
Desde el vallado de chapas se proyecta construir el ducto de cemento. Obsérvese la altura del relleno en relación al obrero.
-
Este cesto de basura es lo único ofrecido por Unicentro en materia de mitigación ambiental.
-
Parte de pasillo por el que deben circular los vecinos.
-
Aspecto de la cloaca a cielo abierto en el límite de la propiedad.
-
Los tubos de 3 x 3 m ya construidos para ser colocados en la cárcava.
Presentan denuncia ante la fiscalía del Medio Ambiente contra Roberto Cárdenas y otros
Moradores de la barriada Islas Malvinas, de Lambaré, han formulado una denuncia penal ante el agente fiscal de la Unidad Penal del Medio Ambiente porque particulares -con la anuencia de las autoridades municipales de Lambaré-, se han apoderado de gran parte de la calle Andrés Gill. La presentación se realizó con la intención de “solicitar el auxilio de nuestras autoridades ambientales ante los hechos que serán relatados en el escrito de denuncia penal”, denuncia que también fue presentada ante la Seam el pasado 6 de octubre, y que se trascribe a continuación.
Objeto: formular denuncia penal por delitos contra el medio ambiente e invasión de calle pública. Solicitar inmediata intervención. Suspensión de obra y realización de pericias topográficas y medioambientales.
Señor Agente Fiscal de la Unidad Penal del Medio Ambiente:
Los que suscribimos, ciudadanos lambareños vecinos de la Barriada “Islas Malvinas” ubicada sobre la calle Andrés Gill (calle usurpada) entre Avenida Cacique Lambaré y Ramón I. Cardozo, bajo patrocinio de las abogadas KattyaGonzalez y Maria Esther Roa Correa, portadoras de las Matrículas profesionales expedidas por la CSJ Nros. 8950 y 10.117, respectivamente, constituyendo domicilio procesal en la casa de la calle Coronel López Nro. 1258 c/ Isabel la Católica del Barrio Sajonia de esta capital, al Señor Agente Fiscal de Turno, respetuosamente decimos:
Individualización de los denunciantes. Legitimación:
Que, los que suscribimos somos vecinos y habitantes del Barrio bautizado como “Islas Malvinas” ubicado en las calles Andrés Gill (gran parte de este camino público actualmente se encuentra usurpado ilegalmente por particulares con anuencia de las autoridades del Municipio de Lambaré); en tal sentido la mayoría somos residentes antiguos de la zona, habiendo en algunos casos sucedido a nuestros abuelos y padres quienes fundaron el Barrio hace 100 años aproximadamente. La situación descrita nos autoriza plenamente a fungir de denunciantes y a solicitar el auxilio de nuestras autoridades ambientales ante los hechos que serán relatados en este escrito de denuncia penal.
Que, invocamos, igualmente, el mandato establecido en el Artículo 284 del Código Procesal Penal, que dice: “denuncia: Toda persona que tenga conocimiento de un hecho punible de acción penal pública, podrá denunciarlo ante el Ministerio Público o a la Policía Nacional…; en concordancia con el Artículo 38 de la Constitución Nacional, que reza: “del derecho a la defensa de los intereses difusos: Toda persona tiene derecho, individual o colectivamente, a reclamar a las autoridades públicas medidas para la defensa del ambiente, de la integridad del hábitat, de la salubridad pública, del acervo cultural nacional, de los intereses del consumidor y de otros que por su naturaleza jurídica pertenezcan a la comunidad y hagan relación con la calidad de vida y con el patrimonio colectivo”.
Datos de los denunciados y tipos penales cuya investigación se solicita:
Que, venimos a presentar denuncia penal contra el ex -intendente de la Ciudad de Lambaré Abogado ROBERTO CÁRDENAS cuyos demás datos se desconocen y todas aquellas personas (funcionarios y particulares) que surjan como responsables en el curso de esta investigación; por la supuesta comisión de hechos punibles previstos y penados en la Ley 716/95 que sanciona los “Delitos contra el Medio Ambiente”; en especial invocamos los Artículos 1, 5 inc. d) y e) y 15 de la citada legislación.
Algunos datos. Relación de hechos:
La empresa AGB Constructora, contratada por un particular, está construyendo un centro de compras en el predio aledaño a nuestras viviendas. Dicho terreno fue en el pasado propiedad del Cnel. Magno Brítez Borges y su esposa María del Carmen Acosta viuda de Brítez, el primero de los nombrados es hermano de los generales Alcibíades y Manuel Brítez Borges, ambos prominentes jerarcas de la dictadura stronista. El Cnel. Magno Brítez Borges, amparado en la impune prepotencia de la época, se apropió ilegalmente de la calle Andrés Gill confinándonos a un estrecho pasillo. Dicho acceso público lindaba con su propiedad, desde su nacimiento hasta el límite de la finca, aproximadamente unos 200 metros. Ante la apropiación indebida de este espacio público la calle Andrés Gill cuya restitución solicitamos quedó reducida a su último tramo con una longitud aproximada de 50 metros hasta su unión con Ramón I. Cardozo.
La calle Andrés Gill se encuentra incluida en los planos metropolitanos de la Gran Asunción y está registrada en el catastro lambareño, en la cual aparece como existente. Incluso, quien disponga de GPS en su automóvil, circulando por la calle Cacique desde la Avenida Fernando de la Mora, cuando solicite ir hacia la calle Ramón I. Cardozo, el GPS indica doblar por Andrés Gill, sin haberse informado de que éste camino hace años ha sido robado con pleno conocimiento y “autorización” de las “ilustres” autoridades Municipales.
Las calles, como lo establece la actual Ley Orgánica Municipal 3966/2010, así como todas las anteriores, y el propio Código Civil Paraguayo, son bienes de dominio público y en tal carácter son: inalienables, inembargables e imprescriptibles, y eso lo deben saber y acatar todos los ciudadanos de la República, por muy poderosos que fueren.
Asimismo, cuesta comprender con qué argumento la Municipalidad de Lambaré aprobó los planos de la obra actualmente en construcción, pasando por alto esta deficiencia, siendo que la calle Andrés Gill figura en su catastro municipal y que, en numerosas ocasiones, hemos solicitado su reapertura, condenándonos, de esta manera, a quedar enclaustrados a perpetuidad, sin, siquiera, poder contar con servicio de recolección de basura y, en caso de enfermedad o muerte, a salir en camilla o en un ataúd llevado a pulso. El municipio no puede desconocer su propio catastro y apañar el robo de una calle, a pesar que Lambaré tiene negros antecedentes en la materia.
Además, según informes brindados por funcionarios municipales esta construcción, ya bastante avanzada, habría sido autorizada por la Municipalidad de Lambaré y en tal sentido solicitamos la revisión del Certificado de aprobación Nro. 246/2015 doscientos cuarenta y seis de fecha 17 de julio de 2015 expedido por el Director de Desarrollo Urbano Arq. Rodolfo Villalba de la Municipalidad de Lambaré. Así mismo, de la Licencia de Impacto Ambiental Dgccarn Nro. 2352/2015 “por la cual se aprueba el estudio de impacto ambiental correspondiente al proyecto “centro comercial Unicentro Lambaré” cuyo proponente es Unicentro SA. identificado con cuenta corriente catastral Nro. 13-0095-07/57 -13-2494-15, se encuentra ubicada en el distrito de Lambaré, departamento Central” de fecha 13 de julio de 2015 emitida por la Secretaria del Medio Ambiente (Seam) cuya copia se adjunta a esta presentación como prueba instrumental de nuestra parte.
El proyecto de Unicentro, en su presentación a la Seam, desconoce e ignora la existencia de nuestra calle ya que ubica el emprendimiento sobre Cacique Lambaré entre Testanova y Mbaracayú, cuando debería ser Andrés Gill esquina Cacique Lambaré, lo cual no tiene justificación ya que el consultor contratado para confeccionar dicho relatorio, al momento de realizarlo, debería tener a mano un plano de la ciudad.
Dicho proyecto también desconoce e ignora la existencia de nuestra barriada, Islas Malvinas, ya que ni siquiera insinúa acción alguna que mitigue las consecuencias negativas de dicha construcción y, además, omite realizar una ubicación geográfica veraz de su zona de influencia. Tampoco, hasta hoy, ninguno de los numerosos pobladores de Islas Malvinas ha sido contactado por Unicentro ni por la empresa constructora, ni se ha realizado la audiencia pública que ordena la Ley. En realidad, nada propone en esta materia.
Algunas ilegalidades que solicitamos sean rectificadas a través de la Fiscalía del Medio Ambiente son las siguientes:
Punto 1: La devolución a la comunidad de la calle sustraída Andrés Gill. Corresponde aclarar que debido a la pavimentación con empedrados y asfaltados, de la avenida Cacique Lambaré y otras calles de la zona, y al gran desnivel existente entre esta avenida y el arroyo Lambaré, que se estima en unos siete metros, esta vía, que está ubicada en el mismo vértice de una cuenca pluvial de unas 80 hectáreas, se ha convertido, por acción de los raudales generados con cada lluvia, en un enorme zanjón que se inicia en la confluencia de esta arteria con Cacique Lambaré, continúa hacia el norte por su viejo recorrido, aproximadamente unos cien metros, para desviarse hacia el oeste y dirigirse finalmente al noreste yendo a desembocar en el arroyo Lambaré, a unos 200 metros de su nacimiento.
Punto 2: En el predio, que tiene una pronunciada pendiente hacia el arroyo Lambaré, la constructora ha rellenado el terreno en toda su superficie, con el objetivo, suponemos, de mantener el nivel existente sobre Cacique Lambaré, siendo ahora la diferencia de más de tres metros entre el nivel anterior y el actual. Para realizar el relleno, arrasaron con el centenar de árboles existentes, desconociéndose si se compensará a la ciudad por esta depredación, ya que el relatorio no lo menciona. Este relleno nos afecta a los vecinos de Islas Malvinas ya que nuestras casas quedarán muy por debajo del futuro shopping. Debería construirse un muro en el límite con la calle Andrés Gil para evitar ulteriores perjuicios a dichas viviendas.
Punto 3: El relatorio de la empresa Unicentro SA cuyas copias solicitamos sean peticionadas a la Seam para su incorporación al cuaderno de investigación fiscal, al momento de solicitar la aprobación de la Evaluación de Impacto Ambiental a cuyo contenido accedimos en la Seam, afirma que las aguas residuales conectarán con la red cloacal de la ciudad, cuando en la realidad esta red no existe ya que Lambaré carece de este servicio. Tampoco servirá, como nos afirmara un funcionario de la empresa constructora, la infiltración de dichas aguas, (la que no mencionan en el relatorio), ya que, por la cantidad estimada de visitantes al centro comercial, de cuatro a cinco mil personas por día, a lo que se debe agregar la presencia de los funcionarios de los distintos locales, esta solución es inviable.
En otro apartado afirman que dichas aguas se destinarán a pozos ciegos, en cuyo caso por el volumen de carga de dichos pozos se precisaría, prácticamente, que los mismos sean desagotados en forma diaria. Ninguna de estas soluciones puede ser viable, siendo la única factible que la obra contemple una planta de tratamiento de efluentes cloacales para verterla posteriormente al arroyo Lambaré. Lo que tememos es que, en la práctica, estas aguas negras terminen derramándose, sin ningún tratamiento, sobre la enorme cárcava existente. Dicha zanja, que en sus inicios fue pluvial, permaneciendo seca cuando no llovía, se ha convertido actualmente en una nauseabunda cloaca a cielo abierto, debido a que numerosos vecinos, ubicados en zonas más altas de la cuenca vierten sus aguas servidas en la misma.
PUNTO 4 :Unicentro proyecta un ducto de hormigón armado, de diseño cuadrado y de 3 x 3 metros de envergadura, para cuya estructura ya han confeccionado y están prácticamente terminadas centenares piezas de varillas acero, por lo que suponemos que iniciarán la construcción del ducto en los próximos días. El mismo se levantaría sobre la trayectoria actual de la cárcava, desde el lugar donde ésta se desvía hacia el oeste hasta el límite de esta propiedad con la de un vecino, lo cual de ninguna manera corresponde ya que, si bien las aguas tienen derecho de paso, nadie puede obligar al vecino a recibir aguas cloacales. Cabe señalar que ni siquiera estarían proyectando construir el ducto desde su inicio en la confluencia de la calle Andrés Gill con la avenida Cacique Lambaré, lo harían apenas en el sector que les afecta.
En tal sentido, es menester que la Fiscalía del Medio Ambiente a través de técnicos y peritos especializados en cuestiones medio ambientales verifique esta denuncia y que, una vez comprobada, dictamine urgentemente, dentro de sus atribuciones, las correcciones a materializarse por las acciones de mitigación ambiental que Unicentro obligadamente deberá realizar.
Como víctimas directas de las acciones de terceros; pedimos que el ducto a ser construido utilice el curso original de la calle Andrés Gill, por debajo de esta arteria, hasta su unión con Ramón I. Cardozo, a la vera misma del arroyo Lambaré. Esta construcción no acrecentará en demasía el costo de la obra que, suponemos, implica una cifra varias veces multimillonaria.
Por tanto; sobre la base de lo brevemente expuesto solicitamos al señor Fiscal del Medio Ambiente, la inmediata intervención, suspendiendo las obras hasta que las deficiencias existentes sean corregidas, preservando de esta manera los derechos de la ciudad y los vecinos, evitando daños irreparables al medio ambiente y precautelando la calidad de vida del vecindario.
Finalmente; consideramos que esta denuncia debe ser conocida por la ciudadanía, motivo por el cual la divulgaremos de acuerdo a nuestras posibilidades.
Individualización de prueba documental y pedido de diligencias: Intimación a la municipalidad de Lambaré y la Seam:
Considerando nuestras limitaciones en el acceso a la prueba documental procedemos a su individualización y solicitamos que la Fiscalía INTIME a la Municipalidad de Lambaré, a la Secretaría del Medio Ambiente (SEAM) y al Juzgado de Primera Instancia en lo Civil y Comercial del 8vo. Turno. Capital para que en el perentorio plazo de 48 horas remitan copias autenticadas de los siguientes documentos:
Municipalidad de Lambaré:
1.) Todos los antecedentes documentales (planos, solicitud, título de propiedad, dictámenes, resolución de impacto ambiental, resoluciones municipales etc.) que hagan relación a la aprobación de planos de construcción del Proyecto de Centro Comercial situado en el Barrio Valle Apuá específicamente sobre la Avenida Cacique Lambaré y Andrés Gill (calle robada) identificado con Cuenta Corriente Catastral Nro. 13-2494-15 y 13-0095-07/57 de la ciudad de Lambaré.
A la Secretaría del Medio Ambiente (Seam)
1.) Todos los antecedentes documentales tenidos en consideración para la expedición de la Declaración Dgccarn Nº 2352/2015 “por la cual se aprueba el estudio de impacto ambiental correspondiente al proyecto “centro comercial Unicentro Lambaré, cuyo proponente es Unicentro SA identificado con cta. cte. ctral. Nº 13-0095-07/57 – 13-2494-15 se encuentra ubicada en el distrito de Lambaré, departamento central” de fecha 13 de julio de 2015, en especial el Relatorio de Impacto Ambiental Exp. Nº 186688/15 presentado a la Seam por el consultor ambiental Ing. Christian Bogado.
Al juzgado de primera instancia en lo civil y comercial del 8vo turno Dr. Neri Joel Kunzle- Actuario: Alexis Vallejos a fin que remitan copia autenticada del expediente caratulado: “Carmen Acosta Vda. de Brítez s/ sucesión” – año: 2008 (aproximadamente)
Otros documentos:
1.) Tomas fotográficas del lugar.
2.) Denuncias y Solicitudes de suspensión de obras presentados ante la Municipalidad de Lambaré, la Junta Municipal de Lambaré y la Secretaría del Medio Ambiente (Seam)
3.) Planos de la Ciudad de Lambaré (zona específica) donde se observa el trazado de la calle Andres Gill, sustraída por particulares en connivencia de las autoridades municipales.
Pedido de constitución de la fiscalía:
1.) Solicitamos la inmediata constitución en el lugar de una comitiva de la Fiscalía de Delitos contra el Medio Ambiente a los efectos de labrar acta del avance de obras y constatar los daños al medio ambiente ocasionados y la anulación de la calle ANDRES GILL.
Pericias:
1.) Designar a peritos con especialidades en evaluación de impacto ambiental, construcción y relevamientos topográficos a los efectos de realizar una pericia completa de la obra individualizada como “Proyecto de Centro Comercial situado en el Barrio Valle Apuá específicamente sobre la Avenida Cacique Lambaré y Andrés Gill (calle robada) identificado con Cuenta Corriente Catastral Nro. 13-2494-15 y 13-0095-07/57 de la ciudad de Lambaré”; proponiendo como puntos de pericias todos los cuestionamientos necesarios para el esclarecimiento de los hechos denunciados.
Testificales:
A los efectos de constatar la denuncia formulada y dar detalles de los acontecimientos solicitamos que se fije día y hora a fin de que vecinos y afectados por las obras relaten a la Fiscalía los padecimientos que están sufriendo. Entre ellos citamos:
1.) Mauri Arza Huerta, paraguayo, casado, 69 años, de profesión periodista, domiciliado en la casa de la calle Ramón I. Cardozo c/ Andrés Gill de la ciudad de Lambaré, con C.I. Nº 229.711
2.) Nilda Estela Villalba, paraguaya, casada, 53 años, de profesión comerciante, domiciliada en la casa de la calle Ramón I. Cardozo c/ Andrés Gill de la ciudad de Lambaré, con C.I. Nº 688.875.
Funciones del ministerio público. Normas jurídicas invocadas:
Exhortamos a los Agentes Fiscales de la Fiscalía del Medio Ambiente a cumplir con la misión constitucional que les compete y de esta manera erigirse en verdaderos representantes de la sociedad paraguaya carcomida por el germen de la corrupción e impunidad.
Invocamos como respaldo jurídico de esta presentación los Artículos 7, 8, 38, 266 y 268 de la Constitución Nacional; la Ley 294/93 de evaluación de impacto ambiental y sus decretos reglamentarios; la Ley 716/95 que sanciona los “Delitos contra el Medio Ambiente” que establecen de forma clara y contundente la pertinencia de la denuncia penal a fin de que la misma sea canalizada e investigada por la Fiscalía del Medio Ambiente.
Hechos punibles configurados:
Sin perjuicio de otros hechos punibles que se puedan detectar y agregar a la presente denuncia, inicialmente consideramos la irrefutable configuración de los hechos punibles previstos los Artículos 1, 5 inc. d) y e) y 15 de la Ley 716/95 que sanciona los “Delitos contra el Medio Ambiente” que textualmente señalan:
Artículo 1º: Esta Ley protege el medio ambiente y la calidad de vida humana contra quienes ordenen, ejecuten o, en razón de sus atribuciones, permitan o autoricen actividades atentatorias contra el equilibrio del ecosistema, la sustentabilidad de los recursos naturales y la calidad de vida humana.
Artículo 5º: Serán sancionados con penitenciaría de uno a cinco años y multa de 500 (quinientos) a 1.500 (mil quinientos) jornales mínimos legales para actividades diversas no especificadas: ….d) Los que empleen datos falsos o adulteren los verdaderos en estudios y evaluaciones de impacto ambiental o en los procesos destinados a la fijación de estándares oficiales ; y, e) Los que eludan las obligaciones legales referentes a medidas de mitigación de impacto ambiental o ejecuten deficientemente las mismas.
Artículo 15: Los funcionarios públicos nacionales, departamentales y municipales, y los militares y policías que fueren hallados culpables de los hechos previstos y penados por la presente Ley, sufrirán, además de la pena que les correspondiere por su responsabilidad en los mismos, la destitución del cargo y la inhabilitación para el ejercicio de cargos públicos por diez años
Constitución Nacional- título II “de los derechos, de los deberes y de las garantías” – capítulo I de la vida y del ambiente- sección II del ambiente.
Artículo 7: del derecho a un ambiente saludable
Toda persona tiene derecho a habitar en un ambiente saludable y ecológicamente equilibrado.
Constituyen objetivos prioritarios de interés social la preservación, la conservación, la recomposición y el mejoramiento del ambiente, así como su conciliación con el desarrollo humano integral. Estos propósitos orientarán la legislación y la política gubernamental pertinente.
Artículo 8: de la protección ambiental
Las actividades susceptibles de producir alteración ambiental serán reguladas por la ley. Asimismo, ésta podrá restringir o prohibir aquellas que califique peligrosas.
Se prohíbe la fabricación, el montaje, la importación, la comercialización, la posesión o el uso de armas nucleares, químicas y biológicas, así como la introducción al país de residuos tóxicos. La ley podrá extender ésta prohibición a otros elementos peligrosos; asimismo, regulará el tráfico de recursos genéticos y de su tecnología, precautelando los intereses nacionales.
El delito ecológico será definido y sancionado por la ley. Todo daño al ambiente importará la obligación de recomponer e indemnizar.
Artículo 38: del derecho a la defensa de los intereses difusos:
Toda persona tiene derecho, individual o colectivamente, a reclamar a las autoridades públicas medidas para la defensa del ambiente, de la integridad del hábitat, de la salubridad pública, del acervo cultural nacional, de los intereses del consumidor y de otros que por su naturaleza jurídica pertenezcan a la comunidad y hagan relación con la calidad de vida y con el patrimonio colectivo.
Por tanto; sobre la base de lo brevemente expuesto al Sr. Agente Fiscal de Turno peticionamos:
1.) Tener por formulada la presente denuncia penal en los términos del escrito que antecede, por ofrecidas las pruebas documentales y solicitadas las diligencias pertinentes (Ver: apartado titulado: individualización de prueba documental y pedido de diligencias);
2.) Ordenar la investigación de los hechos denunciados y practicar cuantas diligencias sean necesarias para esclarecer las circunstancias mencionadas en la denuncia; así como la individualización de sus autores y cómplices.
3.) Citar a declaración indagatoria al ex Intendente Municipal Abog. ROBERTO CÁRDENAS, paraguayo, mayor de edad, cuyos demás datos se desconocen, debiendo para el efecto ordenar su detención y captura a fin de su sometimiento efectivo al proceso penal.
4.) Ordenar la inmediata suspensión de la obra individualizada como “Proyecto de Centro Comercial situado en el Barrio Valle Apuá específicamente sobre la Avenida Cacique Lambaré y Andrés Gill (calle robada) identificado con Cuenta Corriente Catastral Nro. 13-2494-15 y 13-0095-07/57 de la ciudad de Lambaré”.
